Земельные участки
Участки под застройку в разных регионах
Продается привлекательный ЗЕМЕЛЬНЫЙ УЧАСТОК, в экологически чистом районе в 10 км от Евпатории. До моря 30 минут пешком. Площадь участка 8,25 соток. Категория земель: земли населенных пунктов. Вид разрешенного использования: для индивидуального жилищного строительства. Участок ровный, прямоугольной
Участок 8 сот. 3 800 000
Крым республика, Сакский район, село Молочное, улица Лазурная,
Тип участка:Индивидуальное жилищное строительство
Вода:Есть
Продается участок для индивидуального жилищного строительства, категория земель - земли населенных пунктов. 
Участок 8,3 сот, коммуникации проходят рядом.
Участок 8.3 сот. 1 100 000
Крым республика, Сакский район, село Великое, улица Киевская
Тип участка:Индивидуальное жилищное строительство
Вода:
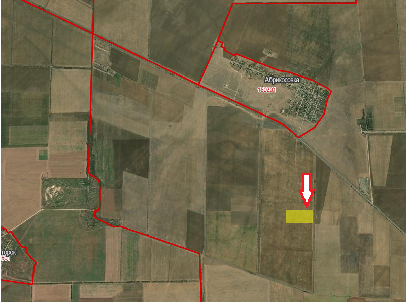
Идеальное предложение для тех, кто мечтает о собственном земельном наделе! 
Участок для личного подсобного хозяйства расположен на территории Мочненского сельского совета, между с. Ромашкино и с. Абрикосовка, всего в нескольких минутах от трассы.
Проведено межевание. По границе участка проходит ЛЭП.
Участок 627 сот. 1 450 000
Крым республика, Сакский район, село Молочное
Тип участка:Личное подсобное хозяйство
Вода:
Продам земельный участок в пгт. Новоозерное, до г. Евпатория 30 км. Поселок относится к городу, Eвпaтoрийская прописка. Новая нарезка расположена через дорогу от жилого массива многоэтажек. Площадь земельного участка 5,2 сотки. Участок прямоугольный, ровной формы.
Кадастровый номер 90:18:040102:337,
Участок 5.2 сот. 1 400 000
Крым республика, Евпатория, поселок городского типа Новоозерное, улица Курортная
Тип участка:Индивидуальное жилищное строительство
Вода:
Продается дачный участок 6,13 соток . Участок ровный, неправильной формы, категория земель: земли населенных пунктов, вид разрешенного использования: ведение садоводства. Межевание проведено, коммуникации на участок не проведены, но все  рядом. Недалеко проходит дорога - хорошее расположение. 
кадас
Участок 6.13 сот. 1 170 000
Крым республика, Ленинский район, село Каменское
Тип участка:Садоводство
Вода:
Продается земельный участок в селе Столбовое, Сакского района по улице Молочная. До города Евпатория 25 км. Общая площадь 25 соток. Категория земель: земли населенных пунктов. Вид разрешенного использования: для индивидуального жилищного строительства. Транспорт ходит по расписанию. Находится недоле
Участок 25 сот. 1 500 000
Крым республика, Сакский район, село Столбовое, улица Молочная, д 28
Тип участка:Индивидуальное жилищное строительство
Вода:Есть
Продается земельный участок  в садовом кооперативе кооп.Мечта Сакского района, недалеко от с.Суворовское. До города Евпатория 7 км. Земельный участок 11,89 соток. На участке стоит вагончик. Участок ровный в форме флажка. Межевание проведено. Из коммуникаций свет рядом, на воду необходимо делать сква
Участок 11.89 сот. 1 100 000
Крым республика, Сакский район, территория СПК Мечта (с Великое), улица Сиреневая, д 9
Тип участка:Садоводство
Вода:Есть
Продается земельный участок в пригороде Евпатории, район Песчанка, в садовом кооперативе. До города 10 км. До моря, до песчаного пляжа 2 км. Площадь земельного участка 5 соток. Участок ровный. Вид разрешенного использования: ведение садоводства. Все коммуникации: вода центральная вдоль дороги, газ р
Участок 5.03 сот. 2 990 000
Крым республика, Евпатория, садовое товарищество Приморье, улица Звездная,
Тип участка:Садоводство
Вода:Есть
Продается земельный участок  в приморском поселке с.Молочное, в 10 км от Евпатории. Площадь участка 8 соток. Категория земель: земли населенных пунктов. Вид разрешенного использования: для индивидуального жилищного строительства. Участок ровный, прямоугольной формы. Имеется фундамент на участке. Вод
Участок 8 сот. 2 700 000
Крым республика, Сакский район, село Молочное, улица Степная, д 21
Тип участка:Индивидуальное жилищное строительство
Вода:
Продам земельный участок от г. Евпатория 30 км. Новая нарезка назначения ИЖС находится пгт. Новоозерное. Eвпaтoрийская прописка. 5,2 сотки. Участок прямоугольный, ровной формы. 
Кадастровый номер 90:18:040102:459 
 Участок для строительства жилого дома, в границах нaселeннoгo пункта, коммуникации -
Участок 5.2 сот. 1 500 000
Крым республика, Евпатория, поселок городского типа Новоозерное,
Тип участка:Индивидуальное жилищное строительство
Вода:
Продается привлекательный ЗЕМЕЛЬНЫЙ УЧАСТОК, в селе Уютное, в садовом кооперативе Прибой, в 3 км от города Евпатории. До моря 30 минут пешком. Площадь участка 6,85 соток. Межевание проведено. Категория земель: земли населенных пунктов. Вид разрешенного использования: садоводство. Участок ровный, пра
Участок 6.85 сот. 3 690 000
Крым республика, Сакский район, территория садоводческий потребительский кооператив Прибой (с Уютное), улица Вишневая, д 27
Тип участка:Садоводство
Вода:
Продается участок ИЖС 8.3 сот на западном побережье Черного моря.
Участок расположен вдоль асфальтированной дороги, все коммуникации проходят рядом с участком: линия электропередач, водопровод, газ, канализация.
Межевание проведено, категория земли: земли населенных пунктов, вид разрешенного использ
Участок 8.28 сот. 3 700 000
Крым республика, Черноморский район, село Оленевка, улица Ленина, д 133
Тип участка:Индивидуальное жилищное строительство
Вода:
Продается земельный участок площадью 6,12 соток в с.Уютное.

Категория земли: Земли Садоводство. 
ЛЭП по границе участка. 
Вода Центральная.
Участок ровной прямоугольной формы.
До моря по асфальтированной дороге 5.7 км., по грунтовой 2.8 км.
Детский сад
МБОУ Уютненская средняя школа-гимназия 
Ледова
Участок 6.12 сот. 3 600 000
Крым республика, Сакский район, село Уютное, улица Молодёжная
Тип участка:Садоводство
Вода:Есть
Продается участок для индивидуального жилищного строительства, площадь 15 соток. Участок расположен в 10 минутах езды от города Евпатория. Участок ровный, рядом уже идет строительство домов. Недалеко проходит ЛЭП и есть газовая распределительная станция. На воду необходимо делать скважину, дороги от
Участок 15 сот. 3 100 000
Крым республика, Сакский район, село Великое, улица Цветочная
Тип участка:Индивидуальное жилищное строительство
Вода:
Продам земельный участок от г. Евпатория 30 км. Новая нарезка назначения ИЖС находится пгт. Новоозерное. Eвпaтoрийская прописка. 5,2 сотки. Участок прямоугольный, ровной формы. 
Кадастровый номер 90:18:040102:359
 Участок для строительства жилого дома, в границах нaселeннoгo пункта, коммуникации - Э
Участок 5.2 сот. 2 000 000
Крым республика, Евпатория, поселок городского типа Новоозерное,
Тип участка:Индивидуальное жилищное строительство
Вода:
Участок с удобным подъездом 15км до моря. Центральная улица поселка. Продажа от собственника. Участок огорожен забором. На участке есть хоз постройки и обветшалый дом.
Участок 25 сот. 1 950 000
Крым республика, Черноморский район, поселок Низовка, улица Пархоменко, д 19
Тип участка:Индивидуальное жилищное строительство
Вода:Есть
Продам  участок  5 соток в кооп. Орбита по ул. Дачная, пригород Евпатории.
Назначение земли: Земли населённых пунктов. Разрешённое использование: Размещение дачных домов и садовых домов. 
Документы РФ готовы, кадастровый паспорт, свидетельство о праве собственности, проведено межевание.
Коммуникации
Участок 5 сот. 2 200 000
Крым республика, Евпатория, Заозерное, ул. Дачная
Тип участка:Садоводство
Вода:Есть
Продается участок в Сакском районе, СНТ Таврида. Площадь 393+/-7 кв.м. Категория земель: земли населенных пунктов. Виды разрешенного пользования: ведение садоводства, для иных видов использования, характерных для населенных пунктов. На участке заложен фундамент. Со всех сторон жилые дома. Электроэне
Участок 4 сот. 1 150 000
Крым республика, Сакский район, территория тсн Таврида (с Великое),
Тип участка:Садоводство
Вода:
Продается земельный участок в селе Приветное, расположенном в пределах Штормовского сельского поселения. 
Вид разрешенного использования: ведение садоводства. Площадь участка составляет 6 соток, что идеально подходит для реализации ваших садоводческих идей. Земли относятся к категории населенных пун
Участок 6 сот. 900 000
Крым республика, Сакский район, село Приветное,
Тип участка:Садоводство
Вода:
Продается участок в с.Межводное Черноморского района. Площадь 1000+/-11 кв.м., категория земель: земли населенных пунктов,  разрешенное использование: индивидуальное жилищное строительство. Электричество, вода, газ рядом. Улица застроена,  с трех сторон жилые  дома. Торг уместен. Звоните!
Участок 10 сот. 4 000 000
Крым республика, Черноморский район, село Межводное, улица Э.Циолковского, д 3
Тип участка:Индивидуальное жилищное строительство
Вода: